>> Reconnaître une farine
de châtaigne AOP

LE CYNIPS DU CHATAIGNIER - Photos   <<< Retour
     
         
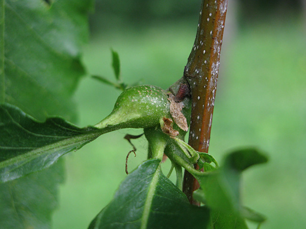
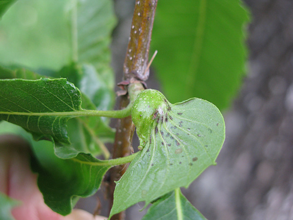
Le cynips du châtaignier   Le cynips du châtaignier   Le cynips du châtaignier
         
Le cynips du châtaignier   Le cynips du châtaignier   Le cynips du châtaignier
         
Le cynips du châtaignier

 

  Le cynips du châtaignier  

Le cynips du châtaignier

         
Le cynips du châtaignier   Le cynips du châtaignier   Le cynips du châtaignier
         
Le cynips du châtaignier   Le cynips du châtaignier   Le cynips du châtaignier
         
Le cynips du châtaignier

 

  Le cynips du châtaignier  

 

Groupement Régional des Producteurs et Transforateurs de Châtaignes et Marrons de Corse

Présentation de l'AOP | Atouts nutritionnels | Gastronomie | AOC et AOP | Historique | Missions | Actions | Enjeux | Objectifs | Les producteurs
Le Groupement Régional des Producteurs et Transformateurs de Châtaignes et Marrons de Corse | Liens | Le cynips du châtaignier |
Le Syndicat National des Producteurs de châtaignes | Espace pro | Contacts

Reconnaître une farine AOP

Syndicat AOP Farine de châtaigne corse - Farina Castagnina corsa - Mail : aocfarinedechataignecorse@orange.fr